협회 치료지원을 받은 아이가 항상 건강하길 응원합니다. 치료지원의 후기는 양식에 맞춰 작성해주세요.
후기를 보시는 많은 분들께 큰 도움이 됩니다.
대한민국에 길고양이들이 아픔없이 건강해질 수 있도록 성실하게 작성해주세요
*양식에 맞춰 작성해주시지 않으시는 경우 지원 정산을 도울 수 없으며 다음 치료지원신청이 어려운 점 양해부탁드립니다.
|
사진첨부
|
||
|
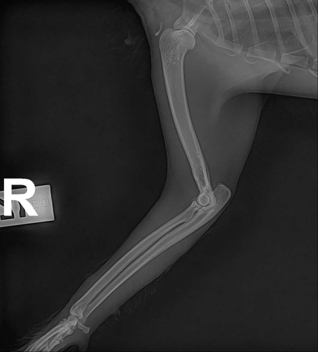
치료전 대상묘
|
|
|
|
치료중 대상묘
|
![]()
![]()
![]()
![]()
![]()
![]()
![]()
![]()
![]()
![]()
![]()
![]()
![]()
|
|
|
치료완료후
|
|
|
|
![]()
![]()
![]()
![]()
|
|
|




























펀치는 건강해져서 좋은데, 포획과정에서 경계심과 스트레스가 심해졌던 탓에 그 뒤로는 저한테 잘 안 옵니다. ㅠㅠ
미움받을 각오는 했으니 저는 크게 상관은 없지만....ㅠ 어렵게 병원데려가서 치료한 만큼, 앞으로 아프지 말고 계속 건강한 상태 잘 유지해나갈 수 있었음 좋겠다는 마음속 바램이 있네요.